| 단지명 | 카미야보리 공원 하이츠 단지 (神谷堀公園ハイツ) |
| 주요용도 | 공동주택 (임대) |
| 소재지 | 도쿄도 키타구 (東京都北区, Tokyoto Kitaku) |
| 준공 | 1988. |
| 규모 | 약4.7㏊, 주호수 637호 |
| 주호구성 | - 월임대료 : 70,100엔~ 160,600엔 (관리비:3,500엔) - 평면종류 : 1DK, 1LDK, 2LDK, 3DK, 3LDK, 4DK - 기타 : |
| 주호평면 예 | - 상세내용 : 4DK, 전유면적: 69㎡, 157,900엔/월 |
| - 평면 등 참고사진 ![]() ![]() |
|

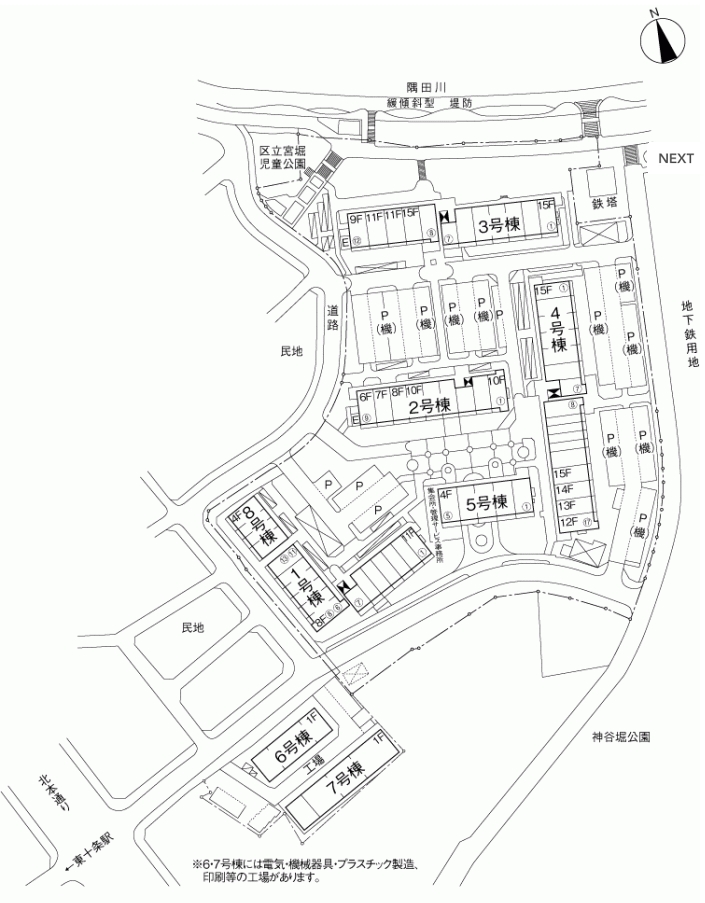
카미야보리 하이츠(神谷堀公園ハイツ)는 JR케이힌 토호쿠선 히가시쥬죠역(JR京浜東北線東十条駅)에서 동측으로 도보 약 10분, 토쿄 메트로&난보쿠선 오우지카미야역(東京メトロ&南北線 王子神谷駅)에서 동측으로 도보 약7분 거리의 스미다가와(隅田川)를 따라서 위치하고 있다.
단지 주변의 카미야보리 1쵸메 지구(神谷堀1丁目地区)는 2차세계대전 이전부터 공장들이 밀집되어, 시로키타 공장지대(城北工場地帯)로 불리우며 발전되어온 지역이었다.
그러나, 종전 후에는 급격한 도시화(都市化)에 의해 주택이 급증하여 무질서한 주공혼재(住工混在) 지역이 되었고, 도로사정을 비롯한 접도조건(接道条件)의 열악한 사정은 개별 건축물의 갱신(更新)에 저해요건이 되었으며, 건축물간의 밀집상태는 일조(日照), 통풍(通風)의 열악, 화재 위험 등에 그대로 노출되어 있었으며, 시대의 흐름에 의한 공장 이전과 함께 도시재편(再編), 도시재생이 주요 과제로 떠올랐다.
이에 UR도시기구는 공장 이적지를 매수하여, 도로 및 공원 등의 인프라 시설의 정비와 함께 공장 겸용 아파트, 커뮤니티 주택의 정비에 착수하였다.
일련의 사업 중의 하나인 카미야보리 하이츠는 친수공원(親水公園) 정비, 수변공간재생(水辺再生)의 선구적 사례로서 스미다가와의 완경사 제방(緩傾斜 堤防)을 따라서 배치된 고층주동은 당시의 주공혼재(住工混在) 지구에 새로운 도시경관을 만들어내었다고 평가받았다.









'■UR주택단지 > 1980~' 카테고리의 다른 글
| 경사지 단지, 비오톱 - 타카츠키 아부야마 일번가,1989 (0) | 2016.11.13 |
|---|---|
| 리조트풍 뉴타운 단지 - 우라야스 마리나 이스트21 우미카제노 마찌,1988 (0) | 2016.11.08 |
| 경사지 분양주택 - 그라디나 가쿠엔마에(グラディーナ学園前),1987 (0) | 2016.11.01 |
| 연도형 주택이 만드는 도시가로경관 - 프롬나드 타마중앙(Promenade Tama Chyuo),1987 (0) | 2016.10.31 |
| SI주택의 모델주택 - 츠쿠바 사쿠라(つくばさくら), 1986 (0) | 2016.10.27 |

